熊本市南区富合町小岩瀬 分譲売地(建築条件なし)8号地540万円の物件情報は【くまマンnet】

営業時間 10:00~18:00 / 定休日 水曜日
096-243-7001
熊本市南区富合町小岩瀬 分譲売地(建築条件なし)8号地

熊本市 中古マンション熊本市南区富合町小岩瀬 分譲売地(建築条件なし)8号地

熊本市南区富合町小岩瀬 分譲売地(建築条件なし)8号地の売却査定・買取査定は【くまマンnet】

〔物件ID〕 0000013484
  • SUUMO未掲載物件
  • 売地
540 万円
所在地 熊本県熊本市南区富合町小岩瀬
交通 バス 緑川橋バス停下車 徒歩13分
JR鹿児島本線「富合」駅 徒歩22分
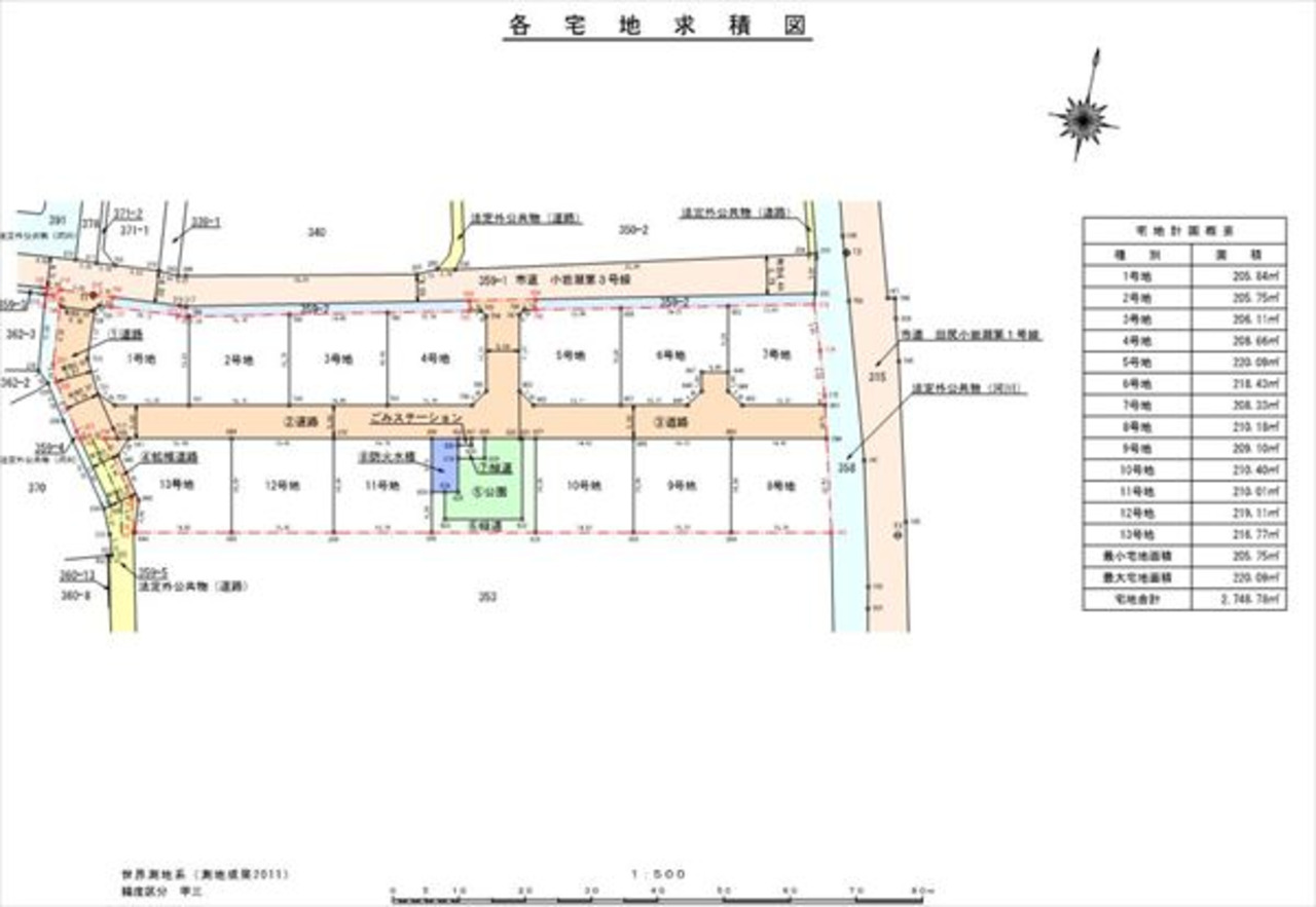
土地面積 210.18m2 (63.57坪)
建ぺい率/容積率 40 % / 80 %
  • おすすめ物件
  • 更地
  • 建築条件なし
熊本市南区富合町小岩瀬 分譲売地(建築条件なし)8号地の物件写真
  • 現地

  • 現地

  • 現地

  • 現地

  • 現地

  • 現地

  • 現地

  • 現地

  • 現地

  • 現地

  • 敷地内道路

  • 敷地内道路

  • 敷地内道路

  • 防火水槽

  • 敷地内公園

  • 西側道路

  • 北側道路

  • 北側道路

  • 東側水路

  • 各宅地求積図

  • 富合小学校

  • 富合中学校

  • ファミリーマート熊本富合小岩瀬店

  • おべんとうのヒライ富合店

  • 杉合郵便局

  • 配置図                 

熊本市南区富合町小岩瀬 分譲売地(建築条件なし)8号地のMAP・周辺環境

※PC 画面でご覧の際、地図の拡大・縮小は、地図右下のコントロールボタン をクリックして表示されるボタンで操作できます。

熊本市南区富合町小岩瀬 分譲売地(建築条件なし)8号地の物件概要
所在地 熊本県熊本市南区富合町小岩瀬
交通 バス 緑川橋バス停下車 徒歩13分
JR鹿児島本線「富合」駅 徒歩22分
価格 540万円
小学校区富合小学校 (徒歩 23 分)中学校区富合中学校 (徒歩 37 分)
土地面積 210.18m2(63.57坪) 建築条件
土地権利 所有権 地目 宅地
私道負担/私道面積 セットバック/距離/面積 ---
都市計画 調整 用途地域 無指定
建ぺい率 40% 容積率 80%
接道状況 一方
方向:北      種別:公道      幅員:5m      間口:14.2m
その他使用料 ---
現況 更地 引渡 相談
取引態様 仲介 国土法届出 不要
設備 公営(引込済)、下水(浄化槽)

コメント \自然と便利さのいいとこ取り♪ 富合町小岩瀬の分譲地♪/

新しいご近所付き合いがスタートする新しい街に、

210.18㎡(約63.57坪)の広々とした分譲地が登場!(※表記は8号地の内容です)

明るく開放的な住環境を実現できるのが魅力。

趣味やお子様の遊び場など、ご家族の理想に合わせた暮らしを実現できます。

さらに、日当たり良好!

建築条件はありませんので、お好きなハウスメーカーや工務店でプランニングOK。

更地渡しのため、お引渡し後すぐに建築スタート可能です。

周辺には、お散歩やペットとの時間、休日のリフレッシュまで。

河川敷や広場、ゴルフ練習場など、日常に“ちょっと楽しい”をプラスしてくれる場所がたくさん!

さらに、スーパーやコンビニも車で5分圏内、国道3号線へのアクセスもスムーズ。

宇土シティまでは車で約12分!

市内中心部へも車や電車で行きやすく、

自然と利便性のバランスがちょうどいい立地です。

自然の心地よさと、日常の便利さを兼ね備えたこの土地で、

新しい暮らしを始めませんか?

「静かに暮らしたいけれど、便利さもほしい」そんな方にぴったりの分譲地です。

まずはお気軽にお問い合わせください^^♪

※法令上の制限:外壁後退・高さ制限、景観法、航空法
※本物件は、浄化槽の設置が必要となります。また、別途、水道加入金および検査手数料が必要となります。
※2025年11月中旬引渡し予定


<周辺環境>
富合小学校まで徒歩約23分、富合中学校まで徒歩約37分、杉合郵便局まで徒歩約4分、ファミリーマート 熊本富合小岩瀬店まで車で約3分、おべんとうのヒライ富合店まで車で約6分、その他、沢山の商業施設や医療機関、飲食店が多数充実しております。

物件は最新の情報を記載するよう心がけておりますが、 来客されました際にあわせてご紹介を行っているため、すでに成約、商談が入ってしまっている場合があります。

気になる物件がございましたら、お早めにお問合せくださいますようお願いいたします。
※掲載内容と現況に相違がある場合は、現況優先とさせていただきます。
更新日 2026年04月09日 次回更新予定日 2026年04月23日
ローンシミュレーション
自己資金 万円
※別途、諸費用が必要です。
ローン借入額 万円
内ボーナス時支払い 万円
※ボーナス返済月の加算額ではありません。
※お借入れ予定額の50%以下の金額をご入力ください。
金利
返済年数
  • 月々(毎月返済額)
  • 0
  • ボーナス(ボーナス時加算額)
  • 0

物件情報と現況に差異がある場合、現況を優先します。
掲載物件は売却済み、売却中止、価格変更となる場合がありますので、予めご了承ください。
仲介物件には所定の仲介手数料(消費税含む)が必要です。

株式会社たたら不動産
会社名 株式会社たたら不動産
所在地 〒862-0909
熊本市東区湖東3丁目4-16
交通 ----
TEL 096-243-7001
FAX 096-243-7002
ホームページHP https://www.tatara-fudousan.com/
メールアドレスE-MAIL info@tatara-fudousan.com
免許番号 国土交通大臣(2)第9594号
営業時間 10:00~18:00
定休日 水曜日
物件を探す ×
物件種別
エリア
価格
延床面積
土地面積
専有面積
建築条件
現況
間取り
駅徒歩
築年数
こだわり条件
無料会員登録で
非公開物件を
ご覧いただけます!
新規物件・値下げ物件を
エリア最速でお伝えします!
会員登録で
物件数が大幅アップ!

公開物件 25

公開物件+
非公開物件
246

現在の会員数3,948

  • 会員登録は無料!
  • 会員専用マイページを作成!
  • 希望条件に合う新着・価格変更物件をメール配信!
  • 非公開物件が閲覧可能!
  • 他社にはない特別限定物件のご紹介チャンスあり!